
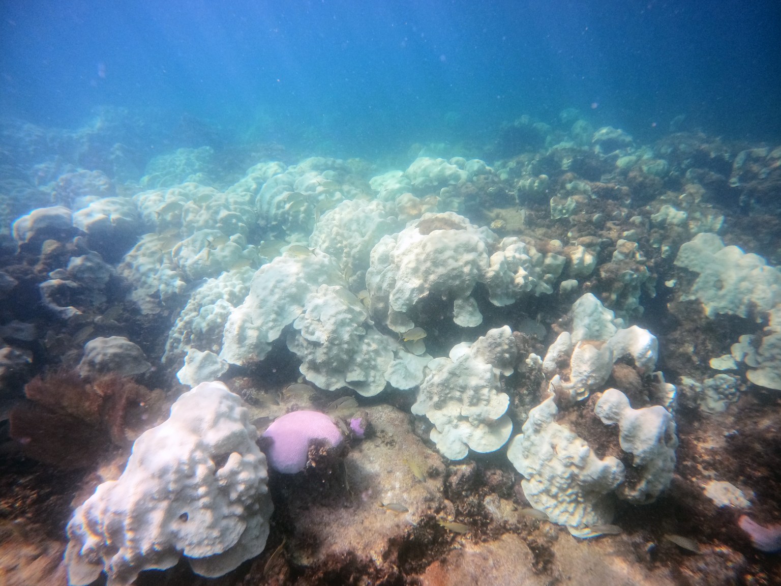
Photo: Keys Marine Lab.
Experts inspect nursery-grown juveniles from the reef-building elkhorn coral species. They’re testing them to withstand warmer temperatures.
Scientists don’t give up, do they? They will surely have a harder time without federal grants, but I hope they will find ways to keep improving life on Planet Earth.
Take this effort to address the damage that global warming poses to coral. Richard Luscombe reports at the Guardian that a group pf experts are seeking “to save Florida’s dying reefs with hardy nursery-grown coral.”
“A taskforce of experts looking into the mass bleaching and decline of Florida’s delicate coral reefs is planting more than 1,000 nursery-grown juveniles from the reef-building elkhorn species in a new effort to reverse the tide of destruction.
“Record ocean heat in 2023 hastened the death spiral for reefs in the Florida Keys, which have lost 90% of their healthy coral cover over the last 40 years, largely because of the climate emergency, according to the National Oceanic and Atmospheric Administration (NOAA).
“Marine biologists from the Keys Marine Laboratory of the University of South Florida (USF) partnered with scientists from Tampa’s Florida Aquarium to develop a large-scale restoration project involving elkhorn coral, which is critically endangered but also one of the fastest-growing and most resilient species.
“[In May], the USF facility in Long Key, halfway along the ecologically fragile Florida Keys island chain, took delivery of 1,050 young elkhorn corals spawned between 2022 and 2023 at the aquarium’s conservation and research center in Apollo Beach.
The corals are acclimatizing in temperature-regulated seawater beds in Long Key.
“They will be distributed to research partners including the Coral Restoration Foundation, the Mote Marine Laboratory, Reef Renewal USA, and Sustainable Oceans and Reefs for planting at seven designated offshore sites around the Keys during the next two months.
“Teams will monitor their progress over the following months and years. While project managers say not all will survive, they hope some of the juveniles will thrive and grow, and the knowledge gleaned will help better inform future recovery efforts.
“ ‘Maybe there will only be 100 out there a year from now, but even if it’s only one out of a hundred that survives that’s particularly tough, we can propagate that one,’ said Cindy Lewis, director of the Keys Marine Laboratory. …
“ ‘The coral juveniles we just transferred are made up of many new mother and father combinations that we hope will be more resilient to future stressors,’ Keri O’Neil, director of the [Florida Aquarium] coral conservation program, said.
” ‘Without human intervention, these parent corals would not be able to breed due to the extent of the loss. They’re a sign that, even during a crisis, we can make a difference. By working together we’re protecting a reef that’s essential to our environment, our economy and the thousands of species that call it home.’
“Lewis said the elkhorn project was a small component of a vast wider effort by numerous universities, environmental groups, and state and federal partners to try to restore as much lost coral as possible. …
“ ‘All these different organizations produced over 25,000 pieces of coral this winter to put out on the reef that are going to make a difference, along with our elkhorn.
“ ‘Even though it seems dismal and depressing, the ray of hope is that we can produce these corals, we can get these corals out there, and that everybody has banded together to work together. No one organization is going to do it all. We need everybody, and we need everybody’s ideas.’ “
More at the Guardian, here. No firewall.










